Herriman Rose Blvd./Main Street Intersection
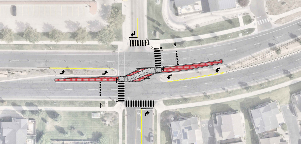
Image: "Option 4" concept showing two half-road pedestrian striped crossings with a pedestrian "refuge" island in the middle. The option, if built, would permanently close left turns from northbound Herriman Rose Blvd. to westbound Main Street and straight-through movements across Main Street to/from Herriman Rose Blvd. to the Salt Lake County library and recreation center.
Background and Community Meeting regarding "Option 4"
Herriman City will host a community meeting to discuss a potential intersection change at Herriman Rose Blvd. and Herriman Main Street. The goal of this webpage is to share background on what has already been studied and discussed, so the February 10 meeting can focus on the current concept.
Community meeting date and time
Tuesday, February 10 | 7:00 p.m. - 8:00 p.m.
Herriman City Hall (Community Room; Floor 1), 5355 W. Main Street
What is this meeting for?
This meeting is intended to gather community input on a potential intersection concept that could improve pedestrian safety but would also restrict some turning movements for vehicles.
Herriman City is not asking residents to support a predetermined outcome. City staff are sharing information, listening to feedback, and facilitating community discussion. Any next steps would be considered later through the City’s normal public process.
Where we've been so far
1) The school safe walking route across Main Street was moved from this intersection eastward to the signal-controlled Black Locust Way.
2) A traffic signal was studied
The community requested a traffic signal study at this location. After analysis, the intersection did not meet the warranted standard for a traffic signal at the time of the study.
3) A neighborhood meeting was held and multiple ideas were discussed
Following the traffic signal study, the City met with the neighborhood to better understand concerns and ideas. Many comments focused on pedestrian safety at Main Street crossings, especially for students and families.
3) Several concepts were evaluated, including a roundabout.
As part of this work, staff evaluated multiple intersection concepts and developed cost estimates. These included:
- Option 1: Roundabout
- A roundabout concept was evaluated, but it is not the focus of the current discussion. The estimated cost for a roundabout concept was significantly higher than the other concepts reviewed, and it is not the concept tied to the current funding opportunity
- Cost: $4.7 million
- Option 2: Full median
- $325,000
- Option 3: Limited left turns
- $117,750
- Option 4: Limited left turns with a pedestrian refuge median (the topic of this community meeting)
- $300,000
After a discussion with the City Council considering public feedback, Option 4 was selected as the preferred method and the City applied for grant funding from the Utah Department of Transportation. Grant funds were awarded based on the Option 4 concept design. The February 10th meeting is a check-in with the community to collect feedback on Option 4.
Option 4
The concept being discussed in this meeting would have permanent vehicle turn closures—specifically, (1) turning left from northbound Herriman Rose Boulevard to westbound Main Street and (2) crossing Main Street between the Herriman Rose neighborhood to the library and recreation center. The concept also includes a raised median/pedestrian refuge in the intersection, along with pedestrian safety enhancements. The intent is to help pedestrians cross Main Street in shorter stages and create a more protected space in the center of the roadway.
Why Option 4 is the active concept right now
What we need to know at the meeting
The February 10 meeting will be hosted by Herriman City but ideally will be a conversation among the neighborhood's residents about the potential Option 4 project, including:
- Pedestrian safety needs and concerns
- Vehicle access and how turn restrictions could affect travel patterns
- Any operational or neighborhood concerns the City should understand early

